NEW

6703 192 St, Surrey, BC

$899,888
Est. Mortgage /mo

MLS® R3094216

0 sqft
$899,888
Est. /mo with 20% down
Tax $2,474/2025
Dan Marusin
Dan Marusin
Renanza Realty
778-918-5990
Award-Winning REALTOR® with 11+ Years of Experience Serving Greater Vancouver
Go See This Home Now

Property Details & Specs

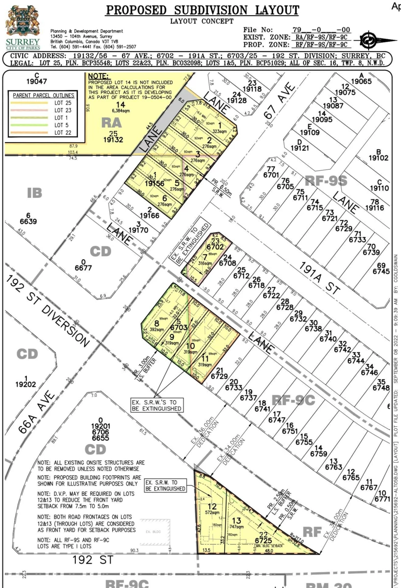
Opportunity to acquire a 7,707 SF parcel in Cloverdale. Located within the East Clayton NCP which designates this property as 10-15 UPA medium density and also falling under Tier 3 TOD designation for min 3.0 FAR/8 Storey Development. The site was a component of a previously proposed 13 lot subdivision (Proj #21-0276) which may be revived by assembling neighboring parcels (19156 67 Ave also listed for sale). Minutes to shopping and restaurants in Clayton & Willow brook Mall, Clayton Community Centre and short walk to the future Clayton Skytrain Station. With the rapid growth of the City of Surrey this is a great opportunity for developers to build affordable options in a prime location.

General Info

Price $899,888
Total Bedrooms -
Total Bathrooms -
Half Bathrooms -
Floor Area Total (sqft) -
Lot Size 7707
Lot Size Depth Feet
Lot Size Frontage 114
Basement Features -

Property Metrics

Year Built -
Age Of Building -
Building Type -
Property Type Land
Stories -
Building Features -
Structures Land Only

Additional Details

MLS® # R3094216
Building Name -
Area Cloverdale
Neighbourhood Clayton
City Surrey
Postal Code V4N 6A3
Price per Sqft -
Gross Taxes $2,474.12
Ownership Type Freehold NonStrata
Maintenance Fee -
Community Features Near Shopping
Fixtures Included -

Heating & Cooling

Fireplace -

Utilities

Utility Type Sanitary Sewer At Lot Line, Storm Sewer At Lot Line, Electricity At Lot Line, Natural Gas Available, Phone Nearby, Cable Available
Water (WaterSource) Public

Parking

Total Parking Spaces -
Listed by: Sutton Group-Alliance R.E.S.

NOTE: This representation is based in whole or in part on data generated by the Chilliwack & District Real Estate Board, Fraser Valley Real Estate Board or Greater Vancouver REALTORS® which assumes no responsibility for its accuracy.

Neighborhood & Transit Info

Public Schools

Secondary
Clayton Heights Secondary School
1.08 km

Information includes BC Government Open License data; school details change often and are offered solely as general guidance.

Private Schools

Elementary, Secondary
Bibleway Christian Academy
1.83 km
Elementary, Secondary
Bibleway Christian Academy
1.83 km

Closest Transit

Bus Stop
Eastbound 68 Ave @ 192 St
0.15 km
Skytrain
Skytrain @ Clayton Station ( Under Construction till 2029)
0.56 km

Crime Rate

Total Crime Rate
Average
Violent Crime Rate
Below Average
Property Crime Rate
Average

Demographics

Post-Secondary Education
Below Average
22.7%
No Certificate/Degree
Below Average
11.8%
Owner Occupied
Above Average
87.5%
Employment Rate
Above Average
70.1%

Noise/ Power Lines

Road/Hwy Noise
Possible
Railway/Sky train Noise
Unlikely
Airport/Port Noise
Unlikely
Close to major Power Lines
Unlikely

Other

Agricultural Land Reserve (ALR)
Unlikely
Flood Area
Unlikely
Close to Cemeteries
Unlikely

Local Info

Estimated Mortgage Calculator

/month
Principal & Interest
Property Taxes $206
Maintenance fee 0
Financing 80% of the $899,888 asking price over 30 years at 4% results in approximately $3,643/month in total estimated carrying costs, $206 property tax.
All figures are informational estimates by Estateblock.com; actual mortgage payments and insurance rates vary by many factors.
Listing data last synced:

Estimated Cashflow Calculator

/month
Mortgage Payment
Monthly Payment
Break Even Down Payment 0%
This listing generates an estimated $3,336/month in rental income, leaving a -$456/month cashflow at current carrying costs. Investors targeting break-even would need roughly 31% down.
All figures are informational estimates by Estateblock.com; actual mortgage payments and insurance rates vary by many factors.

Home Price Evaluation Chart

Beds Home Types Square Feet Lot Size Year Built
This Home $899,888
Surrey Loading...
Clayton Loading...
Comparable data is unavailable at the neighbourhood level. City-wide in Surrey, similar Lands average $1,338,914 across 38 active listings — this listing is 32.8% below the Surrey average.
Data is based on list prices of similar active listings. This representation is based in whole or in part on data generated by the Chilliwack & District Real Estate Board, Fraser Valley Real Estate Board or Real Estate Board of Greater Vancouver which assumes no responsibility for its accuracy

Property FAQs

What are the closest top-rated schools to 6703 192 Street, Surrey, BC?

Is 6703 192 Street, Surrey, BC in a flood zone?

What is the estimated monthly mortgage and strata fee for 6703 192 Street, Surrey, BC?

Dan Marusin
Dan Marusin
Renanza Realty
778-918-5990
Award-Winning REALTOR® with 11+ Years of Experience Serving Greater Vancouver

Earn Cashback

Potential Cashback for this listing if you buy with us

$0
out of $6,199
0 of 17 missions
Your paragraph text

Sign up on Estateblock.com

$310 / 5%

Buy with us & save on this property

Book a tour

Please complete the form. We will the arrangements and give you a call, typically within 1-2 hours. Or Call Us 778-918-5990
Thank you Your message has been sent